With multiple sprawling master-planned communities already underway, Vancouver-based developer Onni Group is now embarking on a new multi-phased project in the Whalley neighbourhood of Surrey that is expected to unfold across more than 30 years.
The development site consists of 10520 132 Street, 13270 105A Avenue, 13325 105 Avenue, and 13352 105A Avenue, which is currently home to four apartment buildings constructed in the early 1970s together known as Regency Gardens.
BC Assessment values the respective parcels at $15,017,000, $15,785,000, $19,827,000, and $18,444,000 for a total of $69,073,000 dated to July 1, 2025. The properties are held by Onni Group under Onni Regency Holdings Corp. and RPMG (105A Avenue) Holdings Ltd.
The site is located immediately south of the Whalley Athletic Park and Whalley Stadium, about midway between the Expo Line SkyTrain’s Gateway Station and Surrey Central Station. The site is considered a Tier 3 transit-oriented area (TOA) as defined under provincial legislation.


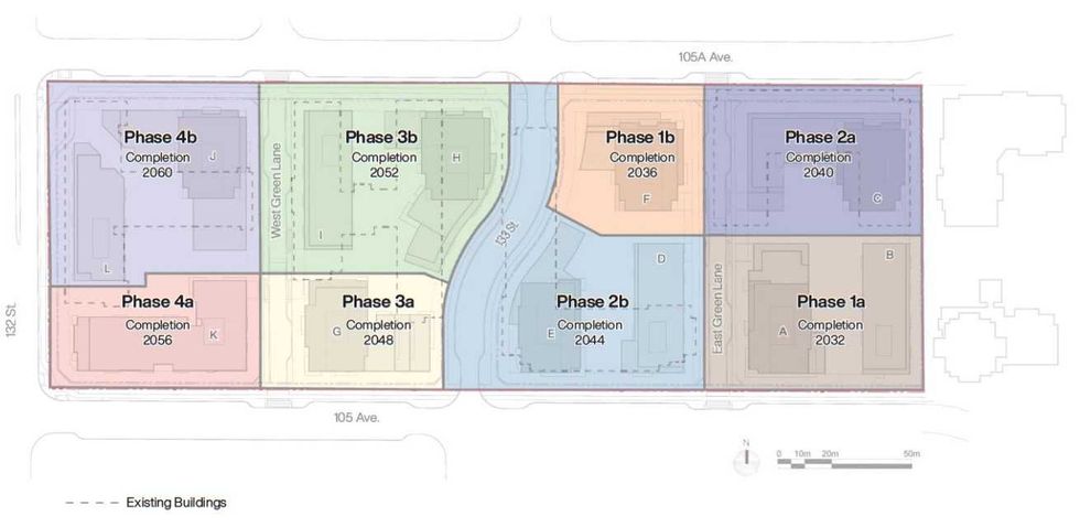
For the site, Onni Group is proposing five mid-rise buildings and seven high-rise buildings with a total of 2,705 residential units — including 321 rental units — and 23,971 sq. ft of commercial space that would be delivered across eight phases. Onni plans to subdivide the site into eight corresponding parcels.
Phase 1A would be focused on the southeast corner of the site — currently a parking lot — and include a 48-storey Tower A with 504 strata units, plus a six-storey Building B with 78 rental units. Phase 1B would be located to the northwest, and include a 24-storey Tower F with 237 strata units.
Phase 2A would be located at the northeast corner of the site, and include a 26-storey Tower C with 310 strata units. Phase 2B would then consist of a six-storey Building D with 83 rental units plus a 43-storey Tower E with 423 strata units (including six townhouse units) towards the southwest.
The existing 133 Street that runs along Whalley Athletic Park would be extended through — and roughly bisect — the site, with the first four phases making up the eastern half of the site, and latter four phases making up the western half of the site.
Phase 3A would be focused on the southeast corner of the western half and include a 33-storey Tower G with 346 strata units. Phase 3B is located directly to the north, and includes a 20-storey Tower H with 234 strata units, plus a six-storey Building I with 80 rental units.
Phase 4A would deliver a six-storey Building K with 115 strata units at the southwest corner of the site. Closing out the project, Phase 4B would be located at the northwest corner and include a 16-storey Tower J with 215 strata units, and a six-storey Building L with 80 rental units.


Overall, the 2,705 residential units have a suite mix of 166 studio units, 886 one-bedroom units, 529 junior-two-bedroom units, 610 two-bedroom units, 258 two-bedroom units with dens, and 250 three-bedroom units, plus six townhouse units.
Onni is proposing 56,328 sq. ft of indoor amenity space, which is less than what is required for a project of this size and will require a cash-in-lieu payment. For outdoor amenity space, Onni is proposing 96,369 sq. ft of space, which exceeds requirements.
Although the City of Surrey approved a new rental replacement policy in October 2025, City staff said in a recent planning report that the development application was submitted in March 2024, meaning the project will be subject to the previous version of the policy.
The City says Onni’s proposal complies with policy and will see Onni replace all of the existing rental units. The replacement units will also be provided at rents that are 10% below CMHC average rents for Surrey and the phasing plan will allow the existing rental buildings to be retained as the new buildings are constructed. Tenants will then be offered a right of first refusal to move into the new buildings.
Because the site is located within a TOA, there are no minimum parking requirements, but Onni is nonetheless proposing to provide 2,724 vehicle parking spaces and 1,182 bicycle parking spaces.
The project will be subject to both Tier 1 and Tier 2 CACs, but will only apply to the 2,384 strata units. Each phase will be guided and refined by individual development applications, with Onni expected to submit the first application soon. The current estimated completion date for Phase 1A is 2032, and for the overall project, 2060.





















